土地 藤井寺市御舟町
所在地
藤井寺市御舟町
1,980万円
27.21坪
■近鉄南大阪線「藤井寺」駅徒歩8分!
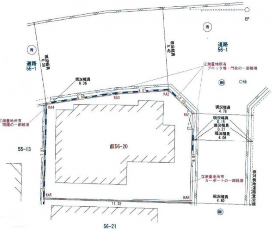
■北・東側角地
■前道約6.1m
■建築条件付き土地ではありません!
■お好きなハウスメーカーや工務店で建築いただけます
月々の
支払例
支払例
万円
年
%
円
※紀陽銀行/借入金1,980万円、返済期間35年、金利0.395%(変動)の場合
※審査により金利は変わる可能性があります。
物件概要
- 交通
-
近鉄南大阪線 藤井寺駅 まで 徒歩8分
- 接道状況
-
北側 公道6.1m 間口約12m
東側 公道4.1m 間口約6.9m - 土地面積
- 公簿 89.98㎡ (27.21坪)
- 建ぺい率
- 60%
- 容積率
- 200%
- 土地権利
- セットバック
- 無し
- 小学校区
- 藤井寺 (1090m)
- 中学校区
- 藤井寺 (550m)
- 私道負担
- 建築条件
- なし
- 地目
- 宅地
- 現況
- 上物有更地渡し可
- 引渡時期
- 相談
- 上水道
- 公共
- 下水道
- 公共下水
- ガス
- 都市ガス
- 都市計画
- 市街化区域
- 用途地域
- 2種中高層
- 設備・条件
- 角部屋
- 備考
- 準防火
- 取引態様
- 仲介



