土地 八尾市黒谷2丁目
所在地
八尾市黒谷2丁目
2,650万円
105.24坪
近鉄信貴線『信貴山口』駅まで徒歩5分♪
土地面積約105坪!!
建築条件なしのためお好きなハウスメーカーで建築可能です☆
月々の
支払例
支払例
万円
年
%
円
※紀陽銀行/借入金2,650万円、返済期間35年、金利0.395%(変動)の場合
※審査により金利は変わる可能性があります。
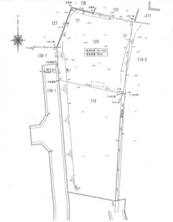
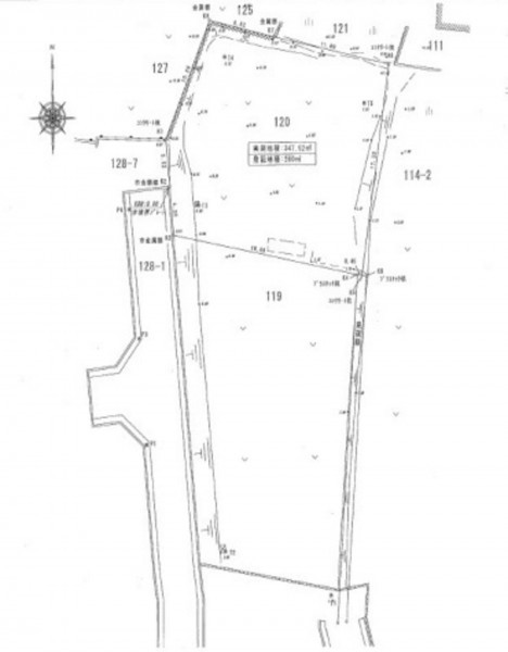
物件概要
- 交通
-
信貴線 信貴山口駅 まで 徒歩5分
- 接道状況
- 西側 公道4.7m 間口約4m
- 土地面積
- 実測 347.92㎡ (105.24坪)
- 建ぺい率
- 60%
- 容積率
- 188%
- 土地権利
- セットバック
- 無し
- 小学校区
- 南高安
- 中学校区
- 南高安
- 私道負担
- なし
- 建築条件
- なし
- 地目
- 雑種地
- 現況
- 更地
- 引渡時期
- 即時
- 上水道
- 下水道
- ガス
- 都市計画
- 市街化区域
- 用途地域
- 1種中高層
- 設備・条件
- 備考
-
登記簿面積 280㎡
実測面積 347.92㎡ - 取引態様
- 仲介



